INNENSTÄDTISCHE - 3-Zimmer WOHNUNG -RENOVIERUNGSBEDÜRFTIG- mit sehr viel Potenzial - in Top Lage Wiens beim NASCHMARKT - Nähe KARLSPLATZ!
Wohnung
,
1040
Wien,Wieden
,
Rechte Wienzeile
Innenstädtische ZentrumsLage - NASCHMARKT - Karlsplaz - TU - Staatsoper
Beschreibung der Immobilie
INNENSTÄDTISCHE - 3-Zimmer WOHNUNG -RENOVIERUNGSBEDÜRFTIG- mit sehr viel Potenzial - in Top Lage Wiens beim NASCHMARKT - Nähe KARLSPLATZ!
INNENSTÄDTISCHE - 3-Zimmer WOHNUNG - RENOVIERUNGSBEDÜRFTIG- mit sehr viel Potenzial - in Top Lage Wiens beim NASCHMARKT - Nähe KARLSPLATZ!
Zum Verkauf gelangt diese (eventuell geplante) 3-Zimmer Wohnung - RENOVIERUNGSBEDÜRFTIG - in einem Jahrhundertwendehause - 3 StiegenHaus in der Seitengasse der Kettenbrückengasse ausgerichtet ist, in Top Lage WIENS - NASCHMARKT mit Nähe zum KARLSPLATZ / TU / Staatsoper, etc...
Das Objekt selbst, befindet sich im 3.Obergeschoß - in der ruhigen Straßenseite der Kettenbrückengasse.
Die vorhandene Räumlichkeiten lassen die Herzen kreativer Planer / Handwerker / Renovierer / Gestallter höher schlagen um eigene Bedürfnisse neu zu gestallten !
Dieser Standort bietet nicht nur zahlreiche Einkaufsmöglichkeiten -NASCHMARKT, sondern auch eine Versorgung mit den wichtigsten Dienstleistungen, Apotheken, Ärtzten, Rechtsanwälten, etc... öffentliche Verkehrsmitteln - wie U-Bahn, Bus, Straßenbahn, sind ebenfalls in wenigen Minuten zu Fuß erreichbar.
Sehr gute Lage zeichnet sich aus, u.a. durch: malerisches Flair des NASCHMARKTS, zahlreichen Gourmet- Gastronomien, kulturellen Angebot, usw... die eine gewisse Gemütlichkeit ausstrahlen und dadurch diese außerordentliche Standortqualität ergänzen!
KAUFPREIS: € 355.000,-- lastenfrei! (mit WohnungsEigentum),
Wir unterstützen Sie gerne vom ersten persönlichen Beratungsgespräch / Besichtigung bis zum erfolgreichen Vertragsabschluss und schon bald wird auch dieses tolles Objekt / 3-Zimmer-WOHNUNG Ihr EIGENTUM !
Vermittlungs-Provision: 3% vom Kaufpreis zzgl. 20% USt.
Bitte, bedenken Sie, das nur eine ausführliche Innen- und Aussenbesichtigung Ihnen einen umfassenden Eindruck zu unserem Angebot vermitteln kann.
Besichtigungen sind jederzeit möglich, auch gerne am Wochenende mit vorherigen Terminvereinbarung mit Frau Katharina Stöger unter der Tel.Nr.: +43 664 3009595.
Alle unsere Angaben sind ohne Gewähr und beruhen ausschließlich auf Informationen des Vermieters/Eigentümers. Diesbezüglich übernehmen wir keine Haftung und keine Gewähr für die Vollständigkeit, Richtigkeit und Aktualität dieser Angaben. Es besteht kein Nahverhältnis zum Abgeber. Weiters wird festgehalten, dass die FA: ANKER-IMMOBILIEN GmbH, aufgrund des bestehenden Geschäftsgebrauches als Doppelmakler tätig ist. Der Anspruch auf das Makler-Vermittlungs- Honorrar entsteht bei Willensübereinkunft. Eine Weitergabe der übermittelten Daten an Dritte ist nicht gestattet!
Der Vermittler ist als Doppelmakler tätig.
Infrastruktur / Entfernungen
Gesundheit
Arzt <250m
Apotheke <250m
Klinik <250m
Krankenhaus <1.000m
Kinder & Schulen
Schule <250m
Kindergarten <250m
Universität <500m
Höhere Schule <750m
Nahversorgung
Supermarkt <250m
Bäckerei <250m
Einkaufszentrum <750m
Sonstige
Geldautomat <250m
Bank <500m
Post <500m
Polizei <500m
Verkehr
Bus <250m
U-Bahn <250m
Straßenbahn <750m
Bahnhof <250m
Autobahnanschluss <3.750m
Angaben Entfernung Luftlinie / Quelle: OpenStreetMap
Eckdaten Objektnr. 29
Art: | Wohnung |
Land: | Österreich |
Baujahr: | 1900 |
Zustand: | Teil_vollrenovierungsbed |
Alter: | Altbau |
Kaufpreis: | 355.000,00 € |
Kaufpreis / m²: | 4.313,49 € |
Provision: | 3% des Kaufpreises zzgl. 20% USt. |
Betriebskosten: | 267,70 € |
MwSt Gesamt: | 26,77 € |
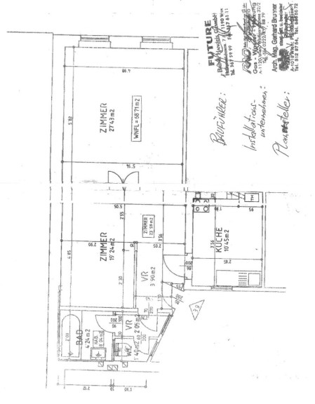
Wohnfläche: | 82,30 m² |
Nutzfläche: | 85,00 m² |
Gesamtfläche: | 82,30 m² |
Verkaufsfläche: | 82,30 m² |
Zimmer: | 3 |
Bäder: | 2 |
WC: | 2 |
Heizwärmebedarf: | D 98,56 kWh/m²a |
Ausstattung
Gas, Etagenheizung, Kabel/Satelliten-TV
Ihre persönliche Beratung

Katharina Stöger
Anker Immobilien Ges. m.b.H.
H +43 664 3009595