Baugrundstück in Altenburg – ruhige Wohnlage nahe Horn im Waldviertel

Grundstück , 3591 Altenburg


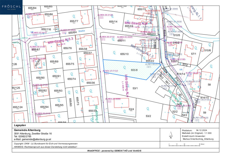
Das Grundstück liegt in der Paul-Troger-Straße 20 in Altenburg bei Horn – einer ruhigen, gewachsenen Wohnlage inmitten des Waldviertels. Der Ort wird geprägt durch das weithin bekannte Benediktinerstift Altenburg, das dem Ortsbild ein besonderes kulturelles und historisches Flair verleiht und Altenburg zu einem der charaktervollsten Orte der Region macht. Die Bezirkshauptstadt Horn ist in wenigen Fahrminuten erreichbar und bietet alles, was den Alltag einer Familie unkompliziert macht: Supermärkte, Schulen, Kinderbetreuung, Ärzte sowie einen Bahnanschluss mit Verbindungen nach Krems, St. Pölten und Wien. Wer gelegentlich die Stadt braucht, findet hier eine solide Anbindung – ohne darauf angewiesen zu sein. Das unmittelbare Wohnumfeld in Altenburg ist ruhig und nachbarschaftlich: Nahversorger, Gasthaus und die wichtigsten Gemeindeeinrichtungen sind schnell erreichbar, ohne dass man täglich ins Auto steigen muss. Die Umgebung bietet das, was das Waldviertel ausmacht – Stille, Natur und Weite. Ausgedehnte Wälder, sanfte Hügel und saubere Luft prägen den Alltag hier mehr als Verkehr und Hektik. Für Familien, die bewusst ein anderes Lebenstempo suchen, ohne den Anschluss an die Welt zu verlieren, ist diese Lage eine echte Alternative. Weitere Details finden Sie im informativen Lage-Exposé, das Ihnen im Anhang als Download zur Verfügung steht.

Beschreibung der Immobilie

Baugrundstück in Altenburg – ruhige Wohnlage nahe Horn im Waldviertel

Das Grundstück ist derzeit unbebaut und bietet damit die Möglichkeit, ein Eigenheim ganz nach den eigenen Vorstellungen zu errichten. Die wesentlichen Versorgungsleitungen – Strom, Wasser und Kanal – liegen bereits an der Grundstücksgrenze an, ein Kanalanschluss ist zudem direkt auf dem Grundstück vorhanden. Die Gemeinde Altenburg schreibt Kanal­einmündungs- und Benützungsgebühren erst nach Fertigstellung des Wohnhauses vor – zu diesem Zeitpunkt also noch kein Thema.



Das Grundstück ist derzeit noch nicht aufgeschlossen; die Aufschließungsgebühr wird im Zuge der Baureifmachung fällig und ist mit der Gemeinde abzustimmen.



Die Widmung Bauland Agrar (BA) ermöglicht die Errichtung eines Einfamilienhauses und ist damit ideal auf die Bedürfnisse von Privatpersonen zugeschnitten, die ein ruhiges Wohngrundstück im ländlichen Umfeld suchen.



Der Bewuchs auf dem Grundstück ist derzeit noch kräftig ausgeprägt – eine gute Gelegenheit, das Gelände im Zuge der Bauvorbereitungen nach eigenen Wünschen zu gestalten.





Vereinbaren Sie noch heute einen Besichtigungstermin und lassen Sie sich von dieser schönen Wohnung überzeugen.

Wir freuen uns darauf, Sie persönlich zu begrüßen. Bei weiteren Fragen stehen wir Ihnen jederzeit unter +43 664 1838 268 zur Verfügung oder senden Sie uns eine E-Mail an christian@froeschl.estate.



Besuchen Sie www.froeschl.estate und entdecken Sie weitere 360º virtuelle Rundgänge sowie die neuesten Objekte! Gerne unternehmen wir auch gemeinsam mit Ihnen geführte virtuelle Besichtigungen!
Unsere Angaben basieren auf den Informationen des Eigentümers; Änderungen und Irrtümer sind vorbehalten.



Sie möchten den Wert einer Immobilie wissen? Bewertungen Professionell und präzise



FRÖSCHL real estate ermittelt den Verkehrswert Ihrer Liegenschaft. Das schriftliche Bewertungsgutachten ist ein umfangreiches Dokument aus dem dieser hervorgeht. Wir ermitteln abhängig von Ihrem Objekt über den Vergleichswert, den Sachwert oder den Ertragswert, unter Beachtung aller relevanten Unterlagen, den aktuellen Marktwert ihrer Immobilie. Gerne übernehmen wir Bewertungen auch aus anderen Anlässen wie innerfamiliären Angelegenheiten, Erbschaften oder steuerlichen Anforderungen und dergleichen.


Der Vermittler ist als Doppelmakler tätig.

Infrastruktur / Entfernungen

Gesundheit
Arzt <5.000m
Klinik <6.000m
Apotheke <5.000m
Krankenhaus <5.500m

Kinder & Schulen
Schule <4.000m
Kindergarten <5.000m
Höhere Schule <8.500m

Nahversorgung
Supermarkt <4.000m
Bäckerei <5.500m
Einkaufszentrum <4.000m

Sonstige
Bank <4.000m
Geldautomat <5.000m
Polizei <4.500m
Post <5.000m

Verkehr
Bus <500m
Bahnhof <4.500m

Angaben Entfernung Luftlinie / Quelle: OpenStreetMap

Eckdaten Objektnr. 7530/5223

Art: Grundstück
Land: Österreich
Kaufpreis: 86.000,00
Kaufpreis / m²: 64,71 €
Provision: 3% des Kaufpreises zzgl. 20% USt.
Grundstücksfl.: 1.329,00 m²
Immobilie merken Exposé

Immobilie anfragen


Ihre persönliche Beratung

Fröschl Real Estate OG

Christian Fröschl

Fröschl Real Estate OG

T +43 664 1838 268