Schöne Bauparzelle in Kramsach mit Bebauunsstudie

Grundstück , 6233 Kramsach


Beschreibung der Immobilie

Schöne Bauparzelle in Kramsach mit Bebauunsstudie

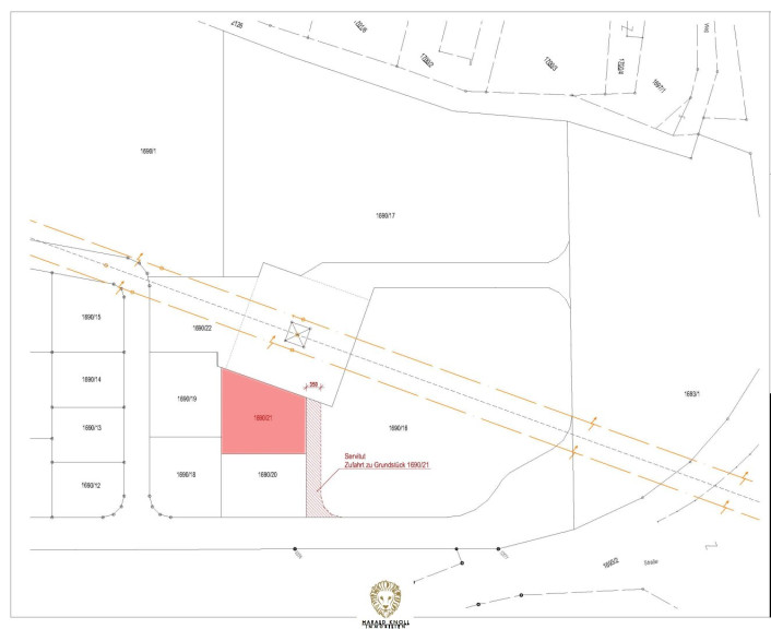
In Kramsach kommt diese Bauparzelle mit ca. 336 qm zum Verkauf.



Erfüllen Sie sich den Traum vom eigenen Einfamilienwohnhaus!



Durch die Öffnung des Baukörpers in westlicher Richtung ergeben sich tolle architektonische und grundrissliche Möglichkeiten: im Erdgeschoß helles offenes Kochen, Essen und Wohnen nach Westen orientiert, im Obergeschoß finden ein Elternzimmer, 2 Kinderzimmer sowie ein Familienbad ihren Platz.



Die Technik, einen Wirtschaftsraum und ausreichend Staufläche platzieren Sie im Kellergeschoß.



Die Zufahrt erfolgt über einen Dienstbarkeitsweg auf der Ostseite, dort sind auch die Leitungen für die Ver- und Entsorgung vorgesehen.



Weiters möchten wir darauf hinweisen, dass sich das Grundstück in der gelben Zone befindet.



Für Nähere Informationen bitten wir um Kontaktaufnahme.



Die angeführten Angaben und Informationen dienen lediglich als unverbindliche Vorinformation und bleiben somit ohne jede Gewähr.

Infrastruktur / Entfernungen

Gesundheit
Arzt <1.000m
Apotheke <1.000m
Klinik <1.500m
Krankenhaus <4.000m

Kinder & Schulen
Schule <1.500m
Kindergarten <1.500m

Nahversorgung
Supermarkt <500m
Bäckerei <500m
Einkaufszentrum <500m

Sonstige
Bank <1.000m
Geldautomat <1.000m
Post <1.000m
Polizei <500m

Verkehr
Bus <500m
Bahnhof <1.000m
Autobahnanschluss <500m
Flughafen <6.500m

Angaben Entfernung Luftlinie / Quelle: OpenStreetMap

Eckdaten Objektnr. 2797

Art: Grundstück
Land: Österreich
Kaufpreis: 199.000,00
Provision: 3% des Kaufpreises zzgl. 20% USt.
Grundstücksfl.: 336,00 m²
Immobilie merken Exposé

Immobilie anfragen


Ihre persönliche Beratung

Harald Knoll Immobilien

Harald Knoll

Harald Knoll Immobilien

T +43 512 35 90 03

H +43 664 83 85 207