Gästehaus in Schwarzau am Steinfeld – auch zur Eigennutzung geeignet!

Haus - Mehrfamilienhaus, 2625 Schwarzau am Steinfeld , Erlacher Straße 153


Die Lage dieser charmanten Pension in der Erlacher Straße in Schwarzau am Steinfeld, ist ideal für Gäste und Einheimische. Die Umgebung bietet eine hervorragende Anbindung an alle notwendigen Einrichtungen. In unmittelbarer Nähe finden Sie einen Arzt, eine Schule, einen Supermarkt, eine Bank sowie einen Geldautomaten. Auch die Polizei und die Bushaltestelle sind schnell erreichbar. Perfekt für eine entspannte Auszeit oder als Basis für Erkundungstouren!

Beschreibung der Immobilie

Gästehaus in Schwarzau am Steinfeld – auch zur Eigennutzung geeignet!

Erleben Sie die einmalige Gelegenheit, eine charmante Pension in der idyllischen Gemeinde Schwarzau am Steinfeld in Niederösterreich zu erwerben!



Diese gepflegte Immobilie bietet Ihnen die Möglichkeit, Ihre unternehmerischen Träume im Gastgewerbe zu verwirklichen.



Selbstverständlich ist das Objekt auch zur Eigennutzung geeignet!





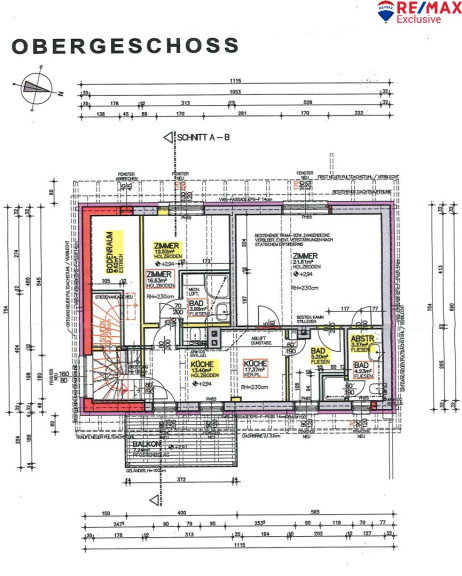
Mit einer großzügigen Fläche von 261,71 m² und vier hellen, einladenden Zimmern und einem Apartment ist diese Pension perfekt für Gäste geeignet, die die Ruhe und Schönheit der Umgebung genießen möchten. Die harmonisch gestalteten Räume schaffen eine Wohlfühlatmosphäre, die Ihre Gäste begeistern wird.



Jedes Zimmer ist ein Rückzugsort, der mit viel Liebe zum Detail gestaltet wurde. 



Die großzügige Terrasse und der Balkon bieten Ihnen und Ihren Gästen die Möglichkeit, die frische Luft und die herrliche Ruhe zu genießen. Der Garten lädt zur Erholung ein und bietet Raum bei einem Glas Wein die Umgebung zu genießen.



Der Parkplatz direkt vor der Tür ermöglicht Ihren Gästen eine bequeme Anreise.





Hard Facts:



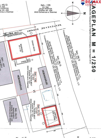
- Gesamtfläche von ca. 261 m²  aufgeteilt auf 5 Zimmer in 2 Gebäuden sowie 2 Nebengebäuden



- Frühstücksraum und gedeckter Sitzplatz



- gepflegter Garten mit Terrasse und Hühnerstall



- Küche zur Frühstückszubereitung



- geschotterter Parkplatz direkt vor der Pension



- Teilkeller zur Lagerung



- Abstellraum und Büro





Greifen Sie jetzt zu und verwirklichen Sie Ihre Träume in dieser bezaubernden Pension in Schwarzau am Steinfeld! Kontaktieren Sie uns für weitere Informationen oder eine Besichtigung – wir freuen uns darauf, Ihnen diese wunderbare Immobilie persönlich vorzustellen!





Kaufpreis: € 499.000,--



Gewährleistung:



Die Verkäuferseite gewährleistet, dass der Vertragsgegenstand ihr unbeschränktes Eigentum und frei von Geldlasten, Bestandrechten und sonstigen Rechten Dritter ist.



Ansonsten wird jede Gewährleistung der Verkäuferseite ausgeschlossen und festgestellt, dass sich dieser Gewährleistungsausschluss sowohl auf bestimmte als auch auf gewöhnlich vorausgesetzte Eigenschaften des Vertragsgegenstandes wie beispielsweise Lage, Größe, Zustand, Abnützung, Widmung, Beschaffenheit, Ertrag und Verwendungsmöglichkeit bezieht.



Aufgrund der Nachweispflicht gegenüber dem Eigentümer ersuchen wir um Verständnis, dass nur Anfragen mit der Angabe der vollständigen Anschrift und Telefonnummer bearbeitet werden können.



Wir weisen auf Ihre 14-tägige Rücktrittsfrist (gemäß § 11 FAGG ) hin. Um Ihre Rechte zu wahren, können nur Anfragen mit vollständigen Kontaktdaten (Name, Adresse, Telefon, Email) beantwortet werden.



Vor Ablauf der 14-tägigen Rücktrittsfrist werden wir gerne für Sie tätig, wenn Sie gesetzeskonform (FAGG) uns ausdrücklich (am einfachsten per E-Mail) dazu auffordern.



Wenn der Kaufvertrag/der Mietvertrag nicht zustande kommt, bleibt unsere Tätigkeit für Sie vollkommen kostenlos.


Der Vermittler ist als Doppelmakler tätig.

Infrastruktur / Entfernungen

Gesundheit
Arzt <875m
Apotheke <2.025m
Krankenhaus <7.050m
Klinik <8.900m

Kinder & Schulen
Schule <1.000m
Kindergarten <1.850m
Höhere Schule <9.700m
Universität <9.625m

Nahversorgung
Supermarkt <900m
Bäckerei <1.225m
Einkaufszentrum <7.625m

Sonstige
Bank <875m
Geldautomat <875m
Polizei <525m
Post <2.125m

Verkehr
Bus <100m
Autobahnanschluss <1.400m
Bahnhof <1.475m

Angaben Entfernung Luftlinie / Quelle: OpenStreetMap

Eckdaten Objektnr. 3106-1

Art: Haus - Mehrfamilienhaus
Land: Österreich
Baujahr: 2012
Zustand: Gepflegt
Möbliert: Voll
Alter: Neubau
Kaufpreis: 499.000,00
Provision: 17.964,00 € inkl. 20% USt.
Betriebskosten: 204,59 €
MwSt Gesamt: 40,92 €
Nutzfläche: 261,71 m²
Grundstücksfl.: 998,00 m²
Zimmer: 5
Bäder: 5
WC: 6
Balkone: 1
Terrassen: 1
Keller: 12,36 m²
Heizwärmebedarf:  C  67,00 kWh/m²a
fGEE:  C  1,12
Immobilie merken Exposé

Ausstattung

Gas, Zentralheizung, Wohnküche / offene Küche, Einbauküche, Parkplatz, Gastterrasse


Immobilie anfragen


Ihre persönliche Beratung

RE/MAX Exclusive Brugger KG

Michael Brugger

RE/MAX Exclusive Brugger KG

T 02622 320 81

H +43 650 421 63 62