PARKÄHNLICHE ANLAGE | Bauen Sie mitten ins Grün und genießen Sie die ruhige Lage

Grundstück - Baugrund Eigenheim, 3481 Fels am Wagram


Beschreibung der Immobilie

PARKÄHNLICHE ANLAGE | Bauen Sie mitten ins Grün und genießen Sie die ruhige Lage

Mit Blick auf eine große Grünfläche, mit Bäumen, Sträuchern und Hecken, gegenüber vom Weingarten an einer ruhigen Straße. Möchten Sie endlich Ihr Bauprojekt verwirklichen und den Traum vom Eigenheim wahr werden lassen?





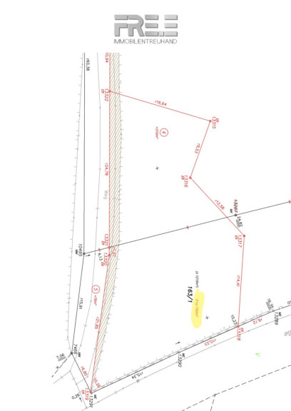
Dieses ca. 750 m² große Prachtgrundstück ist prädestiniert, um sich seinen Traum vom Eigenheim zu verwirklichen. Eben, einfach bebaubar und super in der Konfiguration, inklusive vielen Gestaltungsvarianten, bietet dieses Grundstück zahlreiche Bebauungsmöglichkeiten.





Die Zufahrt ist direkt über die Kogelstraße, eine ruhige Wohnstraße, möglich. Wasser, Kanal und Strom liegen in direkter Nähe, um den Anschluss so kostengünstig und effizient wie möglich zu gestalten.





Die Vorteile, wenn's schnell gehen muss:



  • ebenes Grundstück
  • zahlreiche Möglichkeiten
  • inmitten einer parkähnlichen Liegenschaft
  • gegenüber vom Weingarten
  • direkte Zufahrt über das öffentliche Gut
  • kurze Anschlusswege für Kanal, Wasser und Strom
  • nur noch Ergänzungsabgabe zu entrichten -> günstiger als die kompletten Aufschließungskosten eines Grundstücks!
  • ruhige Lage, unkomplizierte Nachbarn
  • das Grundstück ist im Grenzkataster eingetragen -> notwendig für einen Hausbau
  • KEIN BAUZWANG!




Kaufpreis (verhandelbar): € 169.000,-



Jetzt schnell sein und beim Kauf heuer noch die Grunderwerbsteuer sparen!





Aufschließungskosten sind entrichtet! Die Ergänzungsabgabe ist vom Käufer zu bezahlen.



Das Grundstück ist im modernen Kataster, den Grenzkataster eingetragen. Das spart Geld und Zeit beim Hausbau + keine strittigen Grenzen!





Je nach Wunsch des Käufers, kann das Grundstück in seiner Konfiguration geringfügig verändert (vergrößert oder verkleinert) werden, um es bestmöglich bebauen zu können.





Genießen Sie Ihr neues Leben und sichern Sie sich diese Rarität, direkt in Fels am Wagram.





Bitte haben Sie Verständnis, dass wir aufgrund der Nachweispflicht gegenüber dem Eigentümer nur Anfragen mit vollständiger Anschrift und Telefonnummer beantworten können!
 



Haben auch Sie eine Liegenschaft und denken darüber nach diese zu verkaufen oder zu vermieten? Oder haben Sie Fragen zum Thema Immobilien?



- Kontaktieren Sie uns telefonisch unter +43 664 225 225 2 oder per E-Mail unter info@free-immobilien.at und sichern Sie sich ein kostenloses, unverbindliches Erstgespräch.


Der Vermittler ist als Doppelmakler tätig.

Entdecken Sie Ihre Traumimmobilie mit FRE.E Immobilientreuhand! Melden Sie sich jetzt an und erhalten Sie exklusiven Zugang zu unseren aktuellen Exposés oder legen Sie Ihren individuellen Suchwunsch an.

Infrastruktur / Entfernungen

Gesundheit
Arzt <5.500m
Apotheke <5.500m

Kinder & Schulen
Schule <1.000m
Kindergarten <1.000m

Nahversorgung
Supermarkt <1.500m
Bäckerei <3.000m

Sonstige
Bank <3.000m
Geldautomat <3.000m
Post <5.000m
Polizei <5.000m

Verkehr
Bus <500m
Autobahnanschluss <3.500m
Bahnhof <1.000m

Angaben Entfernung Luftlinie / Quelle: OpenStreetMap

Eckdaten Objektnr. 6205/175

Art: Grundstück - Baugrund Eigenheim
Land: Österreich
Kaufpreis: 169.000,00
Kaufpreis / m²: 225,33 €
Provision: 3% des Kaufpreises zzgl. 20% USt.
Grundstücksfl.: 750,00 m²
Immobilie merken Exposé

Immobilie anfragen


Ihre persönliche Beratung

FRE.E IMMOBILIENTREUHAND | Eric Freiberger Immobilien

Eric Freiberger

Eric Freiberger Immobilien

H +43 664 225 225 2