WOHNMOBIL-GEEIGNET: 1 Autoabstellplatz im Freien nähe Telfs ab sofort zu mieten

6403 Flaurling


Flaurling

Beschreibung der Immobilie

WOHNMOBIL-GEEIGNET: 1 Autoabstellplatz im Freien nähe Telfs ab sofort zu mieten

Flaurling: Ab sofort Autoabstellplatz im Freien zu mieten - auch für Wohnmobile geeignet! 





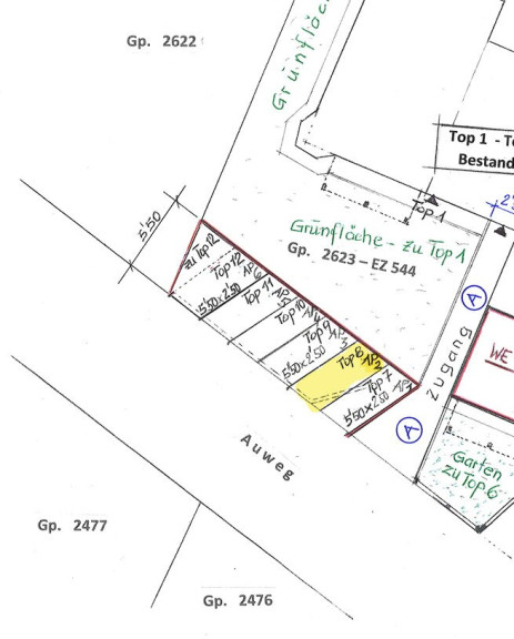
Größe Parkplatz: 2,5 m x 5,5 m



Der Autoabstellplatz AP2 befindet sich in Flaurling nur wenige Autominuten von Telfs direkt beim Bahnhof (ca. 350m entfernt).



Lagebeschreibung: Der Urlaubsort Flaurling liegt im Inntal zwischen Telfs und Zirl. Flaurling ist ein Dorf mit langer Geschichte, hier befinden sich einige sehenswerte Bauernhöfe, die noch in ihrer ursprünglichen Bauweise bewundert werden können. Zudem ist Flaurling ein guter Ausgangspunkt für Wanderungen und MTB-Touren in die umliegenden Berge. Der hier zur Miete ausgeschriebenen Autoabstellplatz im Freien sind in Flaurling am Auweg 12 gelegen und versprechen dem zukünftigen Mieter / der zukünftigen Mieterin die Nähe zum Bahnhof (ca. 350m), Einkaufsmöglichkeiten (ca. 1,1km), Schule (ca. 1,4km), etc. Des Weiteren bietet Flaurling wunderschöne Freizeitziele, wie die Flaurlinger Alm, das Ris-Schloss, Mair´s Mühle uvm







GESAMTMIETE: EUR  90,-  / Monat 



Kaution: 3 BMM 

Mietdauer:  unbefristet 

Provision: 2 BMM zzgl. 20 % USt 



Vertragserrichtung: 1 BMM zzgl. 20% Ust.





Wir bitten Sie um Verständnis, dass wir unserer Nachweispflicht nachkommen müssen und wir Anfragen nur unter Angabe der vollständigen Kontaktdaten (Name, Adresse, Telefonnummer, Email) beantworten können. Wir weisen ausdrücklich auf unsere Stellung als Doppelmakler hin.





Für weitere Informationen oder einen Besichtigungstermin steht Ihnen unser Team gerne zur Verfügung.





SAGENTUS Immobilien



Tel: +43(0)678-1254029



eisenkoelbl@sagentus.at



www.sagentus.at





Dieses Angebot bieten wir Ihnen im Auftrag der Eigentümerseite unverbindlich und freibleibend an. Allfällige Änderungen, Irrtümer, Satzund Druckfehler vorbehalten. Alle Angaben sind sorgfältig recherchiert und beruhen auf Angaben und Informationen Dritter. Hierfür wird keine Haftung übernommen. Wir weisen im Zusammenhang mit dem gegenständlichen Angebot auf ein bestehendes wirtschaftliches Naheverhältnis zwischen Abgeber und Vermittlungsunternehmen hin. Das Vermittlungsunternehmen ist auch mit der Vermittlung von anderen Objekten des Abgebers beauftragt worden.





+++ ICH VERKAUFE ODER VERMIETE AUCH GERNE IHRE WOHNUNG, IHR HAUS ODER IHR GRUNDSTÜCK IN INNSBRUCK UND GANZ TIROL +++





Falls Sie eine Wohnung, ein Haus oder ein Grundstück zu verkaufen oder zu vermieten haben, so würde ich Sie sehr gerne dabei unterstützen Ihre Immobilie optimal zu vermarkten.



Wir greifen bei unserer Immobilienvermarktung auf eine Datenbank mit hunderten vorgemerkten Kunden zurück und inserieren Ihr Objekt zudem in den wichtigsten einschlägigen Medien im Internet und in Printformat.



Unsere gut ausgebildeten Mitarbeiter garantieren dafür, dass Ihre Immobilie in kürzester Zeit und zum best möglichen Preis verkauft oder vermietet wird.



Sollten Sie eine Immobilie verkaufen oder vermieten möchten oder einfach nur eine unverbindliche Wertanalyse Ihres Objekts wünschen, so lade ich Sie herzlich dazu ein mit uns in Kontakt zu treten.



SAGENTUS Immobilien ist als staatlich konzessionierter Immobilienmakler Ihr zuverlässiger Partner im Bereich Immobilien im Raum Innsbruck, Tirol und Rest-Österreich. Als Full-Service-Agentur nehmen wir Ihnen wenn gewünscht sämtlichen Aufwand ab - von der Wohnungsaufnahme bis zur finalen Schlüsselübergabe an den neuen Wohnungseigentümer oder Mieter.





SAGENTUS Immobilien



Standort Hall in Tirol (Bezirk Innsbruck-Land)



office@sagentus.at



www.sagentus.at


Wir weisen darauf hin, dass zwischen dem Vermittler und dem zu vermittelnden Dritten ein familiäres oder wirtschaftliches Naheverhältnis besteht.


Der Vermittler ist als Doppelmakler tätig.

Infrastruktur / Entfernungen

Gesundheit
Arzt <4.500m
Apotheke <5.000m
Krankenhaus <8.000m

Kinder & Schulen
Schule <1.000m
Kindergarten <1.000m

Nahversorgung
Supermarkt <1.000m
Bäckerei <1.500m
Einkaufszentrum <5.500m

Sonstige
Bank <2.000m
Geldautomat <2.000m
Post <1.500m
Polizei <6.000m

Verkehr
Bus <500m
Bahnhof <500m
Autobahnanschluss <1.500m

Angaben Entfernung Luftlinie / Quelle: OpenStreetMap

Eckdaten Objektnr. 4217

Land: Österreich
Gesamtmiete: 90,00
Kaltmiete (netto): 90,00 €
Kaltmiete: 90,00 €
Provision: 2 Bruttomonatsmieten zzgl. 20% USt.
Stellplätze: 1
Immobilie merken Exposé

Immobilie anfragen


Ihre persönliche Beratung

SAGENTUS Immobilien GmbH

MSc. Stephanie Eisenkölbl

Sagentus Immobilien GmbH

T +43 678 1254029