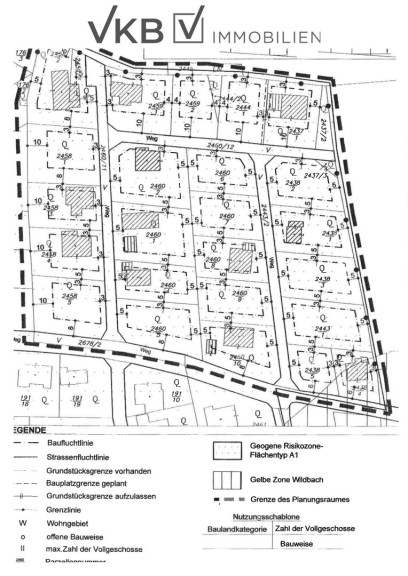
Ruhiges Baugrundstück in naturnaher Lage! – Gemeinde Alberndorf in der Riedmark (GST 2460/7)

Grundstück , 4211 Spattendorf


Das Grundstück befindet sich in Spattendorf, einer ruhigen und naturnahen Ortschaft, die durch ihre harmonische Landschaft und hohe Lebensqualität überzeugt. Die Umgebung ist geprägt von weiten Grünflächen, sanften Hügeln und einer angenehmen, ländlichen Atmosphäre – ideal für alle, die Wert auf Ruhe, Erholung und eine naturnahe Wohnumgebung legen. Trotz der idyllischen Lage bietet Spattendorf eine gute Anbindung an die umliegenden Gemeinden sowie an wichtige Infrastrukturpunkte. Einkaufsmöglichkeiten, Schulen, medizinische Versorgung und öffentliche Verkehrsmittel sind innerhalb weniger Fahrminuten erreichbar. Die Region ist bekannt für ihre gepflegten Wanderwege, Radstrecken und vielfältigen Freizeitmöglichkeiten in der Natur. Durch die Kombination aus landschaftlicher Ruhe und alltagsnaher Erreichbarkeit eignet sich dieser Standort perfekt für Familien, Naturfreunde und Ruhesuchende, aber auch für Anleger, die nach einem wertstabilen Grundstück in einer wachsenden Region suchen.

Beschreibung der Immobilie

Ruhiges Baugrundstück in naturnaher Lage! – Gemeinde Alberndorf in der Riedmark (GST 2460/7)

Eckdaten Objektnr. 5058

Art: Grundstück
Land: Österreich
Kaufpreis: 182.950,00
Grundstücksfl.: 812,00 m²
Immobilie merken Exposé

Immobilie anfragen


Ihre persönliche Beratung

VKB-Immobilien GmbH

Dipl-HTL-Ing. Mario Zoidl, MBA

VKB-Immobilien GmbH

T + 43 732 7637- 1298

H +43 676 83 667 780