Betriebsbaugrund im Ortszentrum Pressbaum/Tullnerbach
                                                            Grundstück
                                - Betriebsbaugrund,
                            
                            
                                
                                                                            3013
                                    
                                                                            Pressbaum
                                    
                                    
                                
                                                                    
                                        
                                    
                                
                            
                        
                        Beschreibung der Immobilie
Betriebsbaugrund im Ortszentrum Pressbaum/Tullnerbach
Der Betriebsbaugrund befindet sich in nur ca. 90 Meter Entfernung zur B44/Hauptstraße, die die Gemeindegebiete Pressbaums und Tullnerbachs trennt.
Den Autobahnanschluss Pressbaum der Westautobahn erreicht man schon nach etwa 3 km, der Bahnhof Tullnerbach-Pressbaum mit sehr guten Direktverbindungen Richtung Wien und St. Pölten ist ca. 750 Meter entfernt, eine Bushaltestelle mit Destinationen in den Umlandgemeinden nur etwa 260 Meter. Zur westlichen Wiener Stadtgrenze gelangt man über die B44, durch Purkersdorf hindurch und weiter über die B1, in weniger als 10 Minuten.
Verschiedene Gasthäuser für den Mittagstisch, wie z.B. das Gasthaus Brentenmais oder die Pizzeria Danijele sind auch rasch fußläufig erreichbar. Ebenso ein Fleischhauer mit warmen Mittagsgerichten, ein Billa, ein DM, Apotheke und eine Trafik.
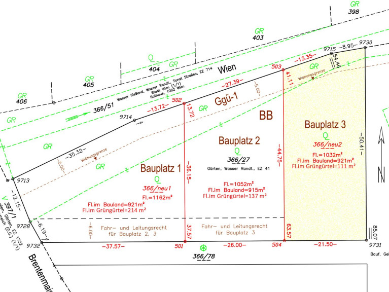
Die Liegenschaft misst insgesamt 3.246 m², davon sind 2.757 m² als Bauland Betriebsgebiet gewidmet, 488 m² sind Grüngürtel entlang des Wienflusses, der das Grundstück im Norden begrenzt.
Der Betriebsbaugrund kann nun entweder als Ganzes oder auch nur in Teilflächen erworben werden. Die Aufschließungsabgabe für Bauklasse I wurde bereits bezahlt. Lt. Bebauungsplan ist keine Bebauungsdichte verordnet, wodurch sich diese, lt. NÖ Bauordnung, an den Gebäudehöhen im Umkreis von 100 Metern orientiert. Je nach Teilung und geplanter Bauklasse ist eine Ergänzungsabgabe in dementsprechender Höhe an die Gemeinde zu errichten.
Der gesamte Bauplatz bzw. Bauplatz 1 können über eine neu zu errichtende Zufahrt an der Brentenmaisstraße befahren werden, die Zufahrt zu den dahinterliegenden Teilflächen wird über ein Servitut der bereits bestehenden Zufahrtsstraße geregelt.
| Bauplatz 3 | |
| Größe gesamt | 1.032 m² | 
| davon Bauland | 921 m² | 
| davon Grüngürtel | 111 m² | 
Der Vermittler ist als Doppelmakler tätig.
Infrastruktur / Entfernungen
Gesundheit
Arzt <500m
Apotheke <1.000m
Klinik <7.000m
Kinder & Schulen
Schule <1.000m
Kindergarten <1.500m
Nahversorgung
Supermarkt <1.000m
Bäckerei <500m
Einkaufszentrum <9.500m
Sonstige
Bank <1.000m
Geldautomat <1.000m
Post <1.000m
Polizei <2.000m
Verkehr
Bus <500m
Bahnhof <1.000m
Autobahnanschluss <3.000m
Angaben Entfernung Luftlinie / Quelle: OpenStreetMap
Eckdaten Objektnr. 95282
| Art: | Grundstück - Betriebsbaugrund | 
| Land: | Österreich | 
| Kaufpreis: | 340.000,00 € | 
| Provision: | 3% des Kaufpreises zzgl. 20% USt. | 
| Grundstücksfl.: | 1.032,00 m² | 
Ihre persönliche Beratung
 
                                                        KommR Rudi Dräxler
Rudi Dräxler Immobilientreuhand GesmbH
T +43 1 577 44 34
H +43 664 136 2400
 
                 
                 
                 
                 
                