Traumhaftes Bauträgergrundstück in Grazer Bestlage mit Stadtblick

Grundstück , 8010 Graz,09.Bez.:Waltendorf


Beschreibung der Immobilie

Traumhaftes Bauträgergrundstück in Grazer Bestlage mit Stadtblick

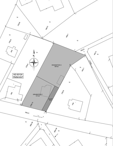
Dieses traumhafte Bauträgergrundstück mit einer Größe von ca. 1.456m² befindet sich an der Waltendorfer Hauptstraße in erhöhter Lage und ist nach Westen ausgerichtet.



Die Topografie ist terrassenförmig angelegt. Im beiliegenden Flächenwidmungsplan ist die Widmung mit "Wohnen Allgemein (WA)" und einer Bebauungsdichte von 0,3–0,6 ausgewiesen.



Weiters entnehmen Sie den Beilagen die Vermessungsurkunde der digitalen Vermessung (Grenzkataster) sowie die Leitungsführungen von Kanal, Gas und Wasser.



Die Stellungnahme der Stadtplanung zur Bebaubarkeit finden Sie in einem gesonderten Dokument.



Ein Altbestand in Form eines Holzblockhauses mit ca. 100 m² Bruttogeschossfläche (BGF) befindet sich im Einfahrtsbereich des Grundstücks.



Eine Erweiterung der Grundstücksfläche beim östlichen Nachbarn wäre grundsätzlich möglich und ist gesondert zu verhandeln.



Weitere Variante: wir weisen darauf hin, dass die Möglichkeit besteht dieses Grundstück zu teilen, siehe Teilungsplan und Objekt Nummer: 7772/1193 



Die besondere Konfiguration dieser attraktiven Liegenschaft, die gute Erschließung sowie der traumhafte Stadtblick machen dieses Objekt für Investoren äußerst interessant.

Noch nichts gefunden? Wir informieren Sie über geeignete Immobilienangebote noch vor allen anderen.
Legen Sie jetzt Ihren individuellen Suchagenten unter folgendem Link an. Wir schicken Ihnen passende Immobilien exklusiv vorab zu.

Suchagent anlegen - https://immventure-real-estate.service.immo/registrieren/de


Wir weisen darauf hin, dass zwischen dem Vermittler und dem zu vermittelnden Dritten ein familiäres oder wirtschaftliches Naheverhältnis besteht.


Der Vermittler ist als Doppelmakler tätig.

Infrastruktur / Entfernungen

Gesundheit
Arzt <500m
Apotheke <500m
Klinik <1.500m
Krankenhaus <2.000m

Kinder & Schulen
Schule <1.000m
Kindergarten <500m
Universität <1.500m
Höhere Schule <2.500m

Nahversorgung
Supermarkt <500m
Bäckerei <500m
Einkaufszentrum <1.000m

Sonstige
Geldautomat <1.000m
Bank <1.000m
Post <1.000m
Polizei <1.000m

Verkehr
Bus <500m
Straßenbahn <1.000m
Autobahnanschluss <4.000m
Bahnhof <3.000m
Flughafen <9.500m

Angaben Entfernung Luftlinie / Quelle: OpenStreetMap

Eckdaten Objektnr. 7772/1164

Art: Grundstück
Land: Österreich
Kaufpreis: 1.295.000,00
Provision: 3% des Kaufpreises zzgl. 20% USt.
Grundstücksfl.: 1.456,00 m²
Heizwärmebedarf:  G  296,30 kWh/m²a
fGEE:  F  3,85
Immobilie merken Exposé

Immobilie anfragen


Ihre persönliche Beratung

Immventure Real Estate GmbH

Ing. Stefan Hagg

Immventure Real Estate GmbH

T +43 699 15915117