TRAUMHAFTES ANWESEN IN BAD RADKERSBURG - BAULAND SOWIE HAUS MIT AUSBAUPOTENZIAL

Haus - Einfamilienhaus, 8490 Bad Radkersburg


Bad Radkersburg

Beschreibung der Immobilie

TRAUMHAFTES ANWESEN IN BAD RADKERSBURG - BAULAND SOWIE HAUS MIT AUSBAUPOTENZIAL

Eine Residenz für Anspruchsvolle – Wohnen, wo andere Urlaub machen



Willkommen in Ihrem privaten Paradies im Herzen der südsteirischen Toskana – in Bad Radkersburg, einem der begehrtesten Kur- und Thermalorte Österreichs.



Dieses außergewöhnliche Anwesen vereint auf stilvolle Weise moderne Architektur, höchste Bauqualität und die wohltuende Ruhe einer der sonnenreichsten Regionen des Landes.





Objektbeschreibung



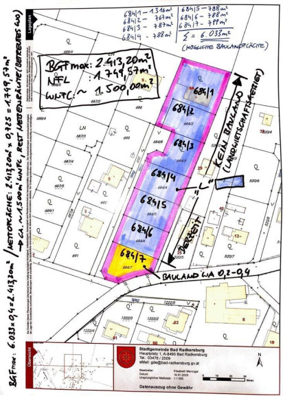
Auf einem weitläufigen Grundstück von ca. 6.594 m² bietet dieses im Jahr 2014 in massiver Bauweise errichtete Einfamilienhaus exklusiven Wohnkomfort auf einer Ebene.



Das gepflegte Grundstück ist in mehrere Parzellen unterteilt: Etwa 1.300 m² sind als Bauland mit einer Bebauungsdichte von 0,2 bis 0,4 gewidmet – perfekt für weitere Bauprojekte. Der übrige Teil ist Freiland und eröffnet vielfältige Nutzungsmöglichkeiten, ob als Garten, Grünfläche, oder sonstige Flächen. 



Das bestehende Haus mit ca. 216 m² große Wohnfläche verteilt sich auf einen lichtdurchfluteten, großzügigen Wohnbereich, zwei weitere Zimmer, eine moderne, voll ausgestattete Küche sowie zwei stilvoll eingerichtete Bäder mit Dusche, Badewanne und Fenster. Zusätzlich gibt es praktische Vorräume und Gangflächen, die für ein offenes, angenehmes Raumgefühl sorgen. Zwei sonnige Terrassen mit jeweils rund 90 m² Fläche erweitern den Wohnraum ins Freie und bieten ideale Bedingungen für entspannte Stunden oder gesellige Abende mit Blick ins Grüne. 



Ein besonderes Highlight ist der rund 200 m² große Rohdachboden, der bei Bedarf zu einer zusätzlichen Wohnebene ausgebaut werden kann – ideal für Familienzuwachs, Gäste oder als Büro-/Wellnessbereich.



Das Anwesen wird energieeffizient über eine moderne Erdwärmepumpe beheizt. Zusätzlich sorgt ein stilvoller Kachelofen im Wohnzimmer für behagliche Wärme an kühlen Tagen. Die hochwertige Ausstattung umfasst Natursteinböden, Parkett und moderne Sanitäreinrichtungen. Die elektrische Toranlage der Garage und Einfahrt unterstreicht den gehobenen Standard der Immobilie. Die Garage mit knapp 46 m² Nutzfläche sowie weitere Stellplätze auf dem Grundstück bieten ausreichend Parkmöglichkeiten.





Besondere Highlights:



  • Exklusives Wohnen auf einer Ebene (216 m² Wohnfläche)
  • Zwei große, sonnige Terrassen mit je ca. 90 m²
  • Großzügiges Grundstück (6.594 m²) mit ca. 1.300 m² Bauland
  • Ausbaupotenzial beim bestehenden Haus: 200 m² Dachboden als zweite Wohnebene möglich
  • Hochwertige Naturstein- und Parkettböden
  • Moderne Erdwärmeheizung plus Kachelofen
  • Große Garage (ca. 46 m²) und zusätzliche Außenstellplätze
  • Vollständige Erschließung und private Zufahrt
  • Heizsystem: Nachhaltige Erdwärmewasserpumpe mit Tiefenbohrung
  • Möglichkeiten: Pool, Bau weiterer Häuser
  • Toplage in Bad Radkersburg, nahe Thermalbad


Das Haus ist derzeit möbliert. Sollten Sie Interesse an der vorhandenen Möblierung – die teilweise aus antiken Möbelstücken besteht – haben, kann der Preis hierfür gesondert vereinbart werden.



Sonstiges



Das Haus ist derzeit möbliert. Sollten Sie Interesse an der vorhandenen Möblierung – die teilweise aus antiken Möbelstücken besteht – haben, kann der Preis hierfür gesondert vereinbart werden.



Lage



Lage – Bad Radkersburg: Wo Lebensqualität zuhause ist



Bad Radkersburg steht für Regeneration und Genuss. Die charmante Stadt, die heilenden Thermalquellen und die malerischen Weinberge der Südsteiermark sind nur wenige Minuten entfernt. Hier genießen Sie die Vorzüge einer exklusiven Wohnlage mit bester Infrastruktur und internationalem Flair.



Ob als privater Wohnsitz, luxuriöser Zweitwohnsitz oder Investment – dieses Anwesen bietet eine seltene Kombination aus Lage, Qualität und Ausbaupotenzial.







Für weitere Informationen oder Besichtigungstermine stehen wir Ihnen jederzeit gerne zur Verfügung.



Ansprechpartner: Frau Andrijana Acimovac I Mobil: +43 676 4401196 I Mail: office@home-x.at





Alle Informationen zu dieser Liegenschaft sind Angaben vom Eigentümer, somit übernimmt HOMEX Real Estate GmbH keine Haftung für Informationen, Fehlinformationen oder sonstige Angaben. 



Auf Grund der neuen EU-Richtlinien zum Fernabsatz- und Auswärtsgeschäfte-Gesetz bitten wir um Ihr Verständnis, dass wir Ihnen seit 13. Juni 2014 die Objekt-Unterlagen erst nach Ihrer Bestätigung, dass Sie unser Tätigwerden wünschen und über Ihre Rücktrittsrechte aufgeklärt wurden, zusenden können. Der guten Ordnung halber halten wir fest, dass, sofern im Angebot nicht anders vermerkt, bei erfolgreichem Abschlussfall eine Provision anfällt, die den in der Immobilienmaklerverordnung BGBI. 262 und 297/1996 festgelegten Sätzen entspricht - das sind 3% des Kaufpreises zzgl. 20% MwSt. bzw. 2 Bruttomonatsmieten zzgl. 20% MwSt. Diese Provisionspflicht besteht auch dann, wenn Sie die Ihnen überlassenen Informationen an Dritte weitergeben.






DATENSCHUTZINFORMATION 





Die seit 25. Mai 2018 in Kraft getretene Datenschutzgrundverordnung dient zur Wahrung Ihrer Privatsphäre, welche für uns einen besonders hohen Stellenwert einnimmt. Der Schutz von personenbezogenen Daten ist uns wichtig und auch gesetzlich gefordert. Die Verarbeitung Ihrer personenbezogenen Daten erfolgt nach den datenschutzrechtlichen Bestimmungen. Der nachstehende Link soll Sie über die wichtigsten Aspekte der Verarbeitung personenbezogener Daten informieren:



https://www.dsb.gv.at/datenschutz-grundverordnung






Infrastruktur / Entfernungen

Gesundheit
Arzt <1.000m
Apotheke <2.000m
Klinik <1.500m
Krankenhaus <1.000m

Kinder & Schulen
Schule <1.500m
Kindergarten <2.000m

Nahversorgung
Supermarkt <1.500m
Bäckerei <3.000m
Einkaufszentrum <1.500m

Sonstige
Geldautomat <1.500m
Bank <1.500m
Post <2.000m
Polizei <1.500m

Verkehr
Bus <500m
Bahnhof <500m

Angaben Entfernung Luftlinie / Quelle: OpenStreetMap

Eckdaten Objektnr. 920

Art: Haus - Einfamilienhaus
Land: Österreich
Baujahr: 2014
Zustand: Neuwertig
Alter: Neubau
Kaufpreis: 748.000,00
Provision: 3% des Kaufpreises zzgl. 20% USt.
Wohnfläche: 216,80 m²
Nutzfläche: 255,00 m²
Grundstücksfl.: 6.400,00 m²
Zimmer: 3
Bäder: 2
WC: 2
Terrassen: 1
Heizwärmebedarf:  C  68,50 kWh/m²a
fGEE:  C  1,29
Immobilie merken Exposé

Ausstattung

Parkett, Fliesen, Steinboden, Erdwärme, Zentralheizung, Garage


Immobilie anfragen


Ihre persönliche Beratung

Andrijana Acimovac

Homex Immobilien – und Projektfinanzierung e.U.

T +43 676 4401196

H +43 676 4401196