Gewerbegrundstück mit projektiertem Bauprojekt für Lagerhallen und Büroeinheiten
Grundstück
,
2231
Strasshof an der Nordbahn
Gewerbeparkstraße 27 2231 Strasshof an der Nordbahn
Beschreibung der Immobilie
Gewerbegrundstück mit projektiertem Bauprojekt für Lagerhallen und Büroeinheiten
Grundstücksdaten
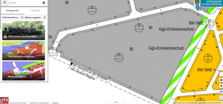
- Gesamtfläche: ca. 4.091 m²
- Derzeitiger Bestand: Leeres Grundstück
- Widmung: Bauland-Industriegebiet (BI) – ideal für industrielle und gewerbliche Nutzungen.
- Projektierter bebaurter Anteil: 1.501 m²
- Projektierte Freifläche: ca. 2.590 m² – flexibel nutzbar als zusätzliche Lagerfläche, Parkplätze oder Grünfläche.
Projektiertes Bauvorhaben
Das eingereichte Bauprojekt sieht die Errichtung eines modernen Gewerbeparks vor. Geplant sind drei Gebäude mit einer flexiblen Nutzung, die sich optimal für Lager- und Büroeinheiten eignen. Die Gesamtbaufläche teilt sich wie folgt auf:
Gebäude 01:
- Erdgeschoss: 247,81 m² Lagerfläche, 22,81 m² Umkleideräume, 51,41 m² Vorraum, 37,96 m² WC, 19,83 m² Küche, 22,81 m² Stiegenhaus.
- Obergeschoss: 300,12 m² für Büroeinheiten (10 Büros), 69,30 m² Vorraum, 25,55 m² Bad/WC, 3,66 m² Abstellräume, 11,30 m² Lagerfläche.
- Gesamtfläche Gebäude 01: 464,45 m².
Gebäude 02:
- Erdgeschoss: 379,91 m² Lagerfläche, 26,26 m² Vorraum.
- Obergeschoss: 184,81 m² Lagerfläche, 213,72 m² Terrasse.
- Gesamtfläche Gebäude 02: 464,45 m².
Gebäude 03:
- Erdgeschoss: 525,57 m² Lagerfläche.
- Gesamtfläche Gebäude 03: 572,42 m².
Ausstattung und Infrastruktur
- Bauweise: Massive Stahlbetonkonstruktion mit hochwertiger Dämmung.
- Dachaufbau: Abdichtung, Kiesauflage und gefälledämmende Platten.
- Entwässerungssystem: Regen- und Schmutzwasser werden über Kanalsysteme abgeführt, zusätzlich wurde eine Sickermulde zur Regenwasserversickerung angelegt.
- Beheizung und Isolierung: Teilbereiche sind beheizt; Dämmung gemäß geltenden Energieanforderungen.
- Büroausstattung: Flexible, lichtdurchflutete Büroeinheiten, die individuell anpassbar sind.
Lage und Erreichbarkeit
Das Grundstück liegt in der Marktgemeinde Strasshof an der Nordbahn, einem aufstrebenden Wirtschaftsstandort. Die hervorragende Lage ermöglicht eine schnelle Erreichbarkeit über die Deutsch-Wagramer Straße und bietet Anbindungen an das öffentliche Verkehrsnetz sowie an das nahegelegene Gewerbegebiet.
Weitere Informationen zu Flächenwidmungen und Bebauungsvorgaben finden Sie auf den Seiten der Gemeinde Strasshof an der Nordbahn:
- https://www.strasshofandernordbahn.gv.at/Flaechenwidmung
- https://www.strasshofandernordbahn.gv.at/Bauamt
- https://www.hada-real.eu/objektdetail/14266792
- Um alle Unterlagen zu erhalten bitten wir Sie eine Kontaktanfrage mit Vorname, Nachname, Email, sowie Telefonnummer abzugeben. Sie erhalten umgehend ein Email mit allen verfügbaren Unterlagen.
- Die Aufschließungskosten wurdne bezahlt. Die Aufschließung selbst wurde noch nicht durchgeführt.
- Das Grundstück wird leer übergeben. Alle darauf befindlichen Sachen werden fristgerecht bei entfernt.
Aktuell liegen unseres Wissens nach keine Informationen über neue oder bestehende Bausperren in Strasshof vor. Wir raten jedem Interessenten jedoch selbst eigene Recherchen zu machen. Für die aktuellsten und genauesten Auskünfte empfehle ich, direkt bei der Stadtgemeinde Strasshof an der Nordbahn nachzufragen. Die Kontaktdaten sind:
- Adresse: Schulstraße 13, 2231 Strasshof an der Nordbahn
- Telefon: +43 2287 2208
- E-Mail: stadtgemeinde@strasshofandernordbahn.gv.at
Zusätzliche Unterstützung für Ihre Projekte:
Als Immobilienmakler und erfahrenes Bauunternehmen bieten wir Ihnen umfassende Unterstützung für Ihre Projekte an. Benötigen Sie eine maßgeschneiderte Küche oder hochwertige Badezimmermöbel? Oder Angebote für Sanierungsarbeiten? Kein Problem – wir stellen Ihnen unser Netzwerk zur Verfügung und können Ihnen gerne individuelle Lösungen anbieten. Auch bei der Finanzierung stehen wir Ihnen beratend zur Seite, um Ihr Projekt optimal zu verwirklichen.
Kontakt:
Herr Aldin Dacic
Konz. Immobilienmakler & Baugewerbetreibender
Geschäftsführer & Gesellschafter
Bitte nehmen Sie zur Kenntnis, dass wir nur Anfragen mit Vor- und Nachname und Telefonnummer entgegennehmen können. Die Angaben erfolgen aufgrund von Informationen und Unterlagen, die uns vom Eigentümer/Mieter und/oder von Dritten zur Verfügung gestellt wurden und sind ohne Gewähr. Hinweis gemäß Energieausweisvorlagegesetz: Ein Energieausweis wurde vom Eigentümer bzw. Verkäufer, nach unserer Aufklärung über die ab 1.12.2012 geltende generelle Vorlagepflicht, sowie Aufforderung zu seiner Erstellung vorgelegt. Wir übernehmen keinerlei Gewähr oder Haftung für die tatsächliche Energieeffizienz der angebotenen Immobilie. Wir möchten darauf hinweisen, dass wir als Doppelmakler tätig sind und ein wirtschaftliches und familiäres Nahverhältnis zum Abgeber besteht.
Wir weisen darauf hin, dass zwischen dem Vermittler und dem zu vermittelnden Dritten ein familiäres oder wirtschaftliches Naheverhältnis besteht.
Der Vermittler ist als Doppelmakler tätig.
Infrastruktur / Entfernungen
Gesundheit
Arzt <1.500m
Apotheke <2.000m
Klinik <4.000m
Kinder & Schulen
Kindergarten <1.000m
Schule <2.500m
Nahversorgung
Supermarkt <2.000m
Bäckerei <2.000m
Einkaufszentrum <7.500m
Sonstige
Bank <2.000m
Geldautomat <2.000m
Post <2.000m
Polizei <4.000m
Verkehr
Bus <500m
Bahnhof <1.500m
Autobahnanschluss <7.500m
Angaben Entfernung Luftlinie / Quelle: OpenStreetMap
Eckdaten Objektnr. 15664
Art: | Grundstück |
Land: | Österreich |
Kaufpreis: | 689.000,00 € |
Provision: | 3% des Kaufpreises zzgl. 20% USt. |
Grundstücksfl.: | 4.091,00 m² |
Ihre persönliche Beratung

Herr Aldin Dacic
Hada Real GmbH
T +43 664 1020156