Panoramagrundstück am Wimberg
Grundstück
- Baugrund Eigenheim,
5421
Wimberg
In absoluter Traumlage am Wimberg der Gemeinde Adnet befindet sich dieses Panoramagrundstück. Das Grundstück liegt in unverbaubarer Hanglage mit einem herrlichen Panorama-Weitblick Richtung Salzburg und der umliegenden Bergwelt. Durch die erhabene Lage und die beruhigte Zufahrtssituation, die lediglich dem Anrainerverkehr dient, wird einem ein besonderes Maß an Privatsphäre zuteil. In nur wenigen Fahrminuten erreichen Sie das Ortszentrum von Adnet und in weiteren 5 Minuten Stadtzentrum von Hallein mit allen wichtigen Geschäften des täglichen Bedarfs. In nur ca. 5 Autominuten erreicht man die Autobahnauffahrt Hallein, eine Anbindung an den öffentlichen Verkehr ist mit dem Bus zudem in der näheren Umgebung.
Beschreibung der Immobilie
Panoramagrundstück am Wimberg
Die Liegenschaft überrascht als verstecktes Juwel in außerordentlicher Lage. Durch die Hanglage genießt man nicht nur den Weitblick und die Naturlandschaft, sondern es eröffnen sich einmalige Bebauungsmöglichkeiten.
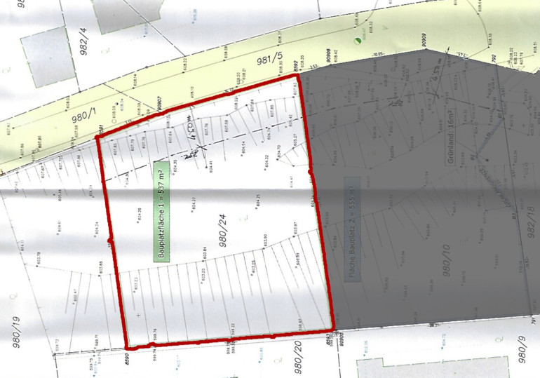
Durch eine „offene Bebauung“ sind beispielsweise alle Dachformen möglich! Das Grundstück verfügt über 537 m².
Der Bauplatz ist altbestandsfrei. Das Grundstück befinden sich in der Flächenwidmungskategorie „Reines Wohngebiet“. Der Bebauungsplan sieht eine Wohnbebauung mit einer GFZ von 0,5 vor.
Die Bauplatzerklärung ist bereits erteilt und alle Anschlüsse an der Grundstücksgrenze vorhanden.
Durch die vorteilhafte Hanglage könnten dichteneutrale Flächen zusätzliche Wohnflächen schaffen.
Die Großzügigkeit der Liegenschaft lädt durch ihre Flexibilität zur Umsetzung Ihres ganz persönlichen Projektes ein, oder auch zur Übernahme der baubewilligten Einreichplanung eines Einfamilienhauses mit Garage.
Bei der abgebildete Visualisierung handelt es sich um ein baubehördlich bewilligtes Neubauprojekt mit einer Wohnfläche von ca. 202 Quadratmeter Wohnnutzfläche.
Diese bewilligte Einreichplanung ist im Kaufpreis inkludiert.
Wir weisen darauf hin, dass zwischen dem Vermittler und dem zu vermittelnden Dritten ein familiäres oder wirtschaftliches Naheverhältnis besteht.
Der Vermittler ist als Doppelmakler tätig.
Infrastruktur / Entfernungen
Gesundheit
Arzt <3.000m
Apotheke <4.500m
Krankenhaus <5.000m
Klinik <8.000m
Kinder & Schulen
Schule <2.500m
Kindergarten <3.000m
Universität <5.000m
Höhere Schule <5.000m
Nahversorgung
Supermarkt <3.000m
Bäckerei <3.000m
Sonstige
Bank <3.000m
Geldautomat <3.000m
Post <3.000m
Polizei <5.500m
Verkehr
Bus <500m
Bahnhof <5.000m
Autobahnanschluss <4.500m
Angaben Entfernung Luftlinie / Quelle: OpenStreetMap
Eckdaten Objektnr. 513/2858
| Art: | Grundstück - Baugrund Eigenheim |
| Land: | Österreich |
| Kaufpreis: | 535.000,00 € |
| Provision: | 3% des Kaufpreises zzgl. 20% USt. |
| Grundstücksfl.: | 537,00 m² |
Ihre persönliche Beratung
Günther RADWANOVSKY
Stiller & Hohla Immobilientreuhänder GmbH
T +43 662 6585-100
H +43 650 6585 175
F +43 662 6585-500
Dieser Makler ist ein offizielles Mitglied des IR – ir.at Mehr Erfahren
